Mar 30
Hello folks! It’s reporter K again! I’m here to tell you about my travels in Australia. Actually my colleagues will be covering most of the sites so I only have one to write about: The Great Barrier Reef. The Great Barrier Reef is the largest reef in the world. It is 1250 miles long and is made up of 2000 little reefs. It is located off the coast of northeast Australia.
We were told of the safety procedures and sailed to one of the many little reefs that form the one big reef. There were 160 people on board and we would be going on the first tour with a marine biologist for a guide. We put on our Lycra suits which would protect us from both the sun and jelly fish stings. That was very important because it was the season for jelly fish to come out. Next we selected flippers, masks, and snorkels. When I put on the mask I was very uncomfortable, as I am used to breathing with my nose, but I had to learn to deal with it fast. But before we got in the water my nose started bleeding! I was very thankful it didn’t happen in the water, because it would have attracted sharks. When it finally stopped bleeding we put the snorkels in our mouths and followed the guide.
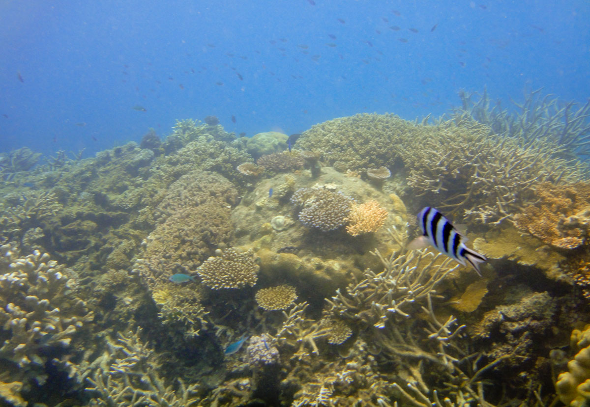
The second we looked down we saw coral. There was coral everywhere, ranging from a centimeter to a few meters. Some of the colors they came in were blue, purple, yellow, orange, red, and green. And as we passes over an especially big one it moved! We even saw a huge brain coral. Sadly we were not allowed to touch anything.
Did you know that coral used to be a scientific mystery? Scientists couldn’t decide if it was a plant, animal, stone, or fossil. Comment which one you think it is. The fish were also extraordinary with bright vibrant colors. There was as swarm of little blue ones swimming over a butterscotch colored coral. The coral had many holes and when the fish were startled they would all dive in at once. That was what most amazed me about the fish here. No matter what they did it was always synchronized.
My favorite was a little fish was named the cleaner fish. It went in other fishes’ mouths and ate the parasites on their teeth. No one, not even the predator fish, ate the cleaner fish. They all just opened their mouths and let them clean it. The cleaner fish had little stations all over that all the fish knew the locations of.
While we were swimming around we saw some scuba divers looking at a giant clam. Giant clams can be over 4 feet wide 500 pounds. When they left our guide Dave swam down and put his hand in the clam. The clam closed a bit but not completely. It was still pretty cool though. Dave brought up different kind of corals for us to see. My favorite was the mushroom coral because it was purple on one side. It was as hard as a rock though, while I had been expecting it to be soft.
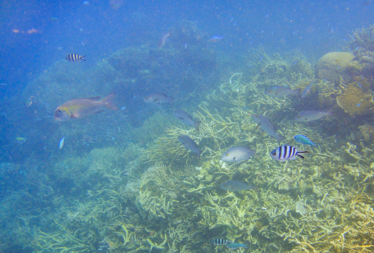
When we were done we came out and had lunch. It was delicious! Afterwards we went to a little tunnel thing with glass walls so we could see the fish. The most common one we saw was the red bass.
Then we went back in the water and got our pictures taken by the underwater photographer who had a huge camera. When he was satisfied he swam away to go take more pictures.
Carter and Dad then swam far out to go exploring, while Mom and I stayed close to the platform and watched all the different fish.
There was a huge black one with ice blue eyes that I named evil. But the gray one was probably more evil because it had huge fangs. The little black and yellow fish kept coming right up in my face and through the holes in the water bench (it was the place where you put on your flippers, it was half under the water), it was really fun!
We also saw wave after wave of minnows. They were very small, but altogether made sheets of little black and blue bodies. Whenever someone would get near them they would turn around and swim away with blinding speed.
When the horn had blasted we changed and got some ice cream. We looked at the pictures and bought one of us holding hands.
We re-boarded the boat and took naps. It had been a fun but exhausting day! The Great Barrier Reef was better than I had expected. I had never realized that coral could come in every color of the rainbow. It was beautiful.
This is Reporter K signing off.
For some cool facts about the Great Barrier Reef check out this website: www.reef.crc.org.au and click on discover the reef.


















































































Error thrown
Call to undefined function ereg()